您现在所在的位置 :
首页 > 工作动态 > 科学普及
| 索引号: | 4311000019/2024-10864 | 分类: | |
| 发文机关: | 市自然资源和规划局 | 发文日期: | |
| 名称: | |||
| 文号 : | |||
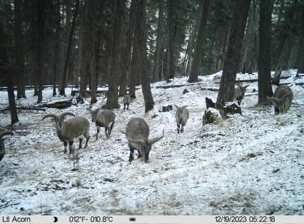
近日,中国地质调查局西宁自然资源综合调查中心(以下简称“西宁中心”)在祁连山中部天涝池小流域内拍摄到数十种国家重点保护野生动物在林间活动觅食的照片及影像。其中,在海拔3200-3500m的地带,多处红外相机拍摄到被称为“高山霸主”的雪豹的活动踪迹。此外,还有国家Ⅰ级保护动物马麝、斑尾榛鸡,国家Ⅱ级保护动物马鹿、岩羊、血雉、赤狐、蓝马鸡、猞猁等。

祁连山地处我国西北内陆、青藏高原东北缘,是我国西部重要的生态安全屏障,交汇于青藏、蒙新、黄土三大高原;也是我国重要的水源涵养地,供给着河西走廊疏勒河、黑河、石羊河三大内陆河;同时还是我国生物多样性优先保护区,孕育有森林、草原、荒漠、寒漠、冻原、农田、水域、冰川和雪山等九大类在内的复合自然资源系统,是世界高寒种质资源库。目前已查明祁连山国家公园内共分布有野生脊椎动物28目63科294种,其中兽类69种、鸟类206种、两栖爬行类13种,国家Ⅰ级保护动物有雪豹、白唇鹿、马麝、黑颈鹤、金雕、白肩雕、玉带海雕等15种,国家Ⅱ级保护动物有盘羊等39种。

此次对雪豹等野生动物的监测发现,随着祁连山生态环境保护力度加强,野生动物栖息地逐渐向好,物种种群数量不断增加,各类珍稀保护动物踪迹频现。祁连山作为野生动物迁徙的重要廊道以及多种珍稀濒危野生动植物的重要栖息地,其生态好转不仅为动植物提供了良好的生存环境,也给我们人类提供了无限机遇。西宁中心将立足祁连山,依托自然资源部祁连山中部亚生态系统野外科学观测研究站,持续开展野生动物调查监测工作,助力区域生态文明建设。

湘公网安备 43110302000125号
